- YourGovernment
 - 
			    OurCommunity
                        
- 
					  
- About Tualatin Advisory Committees Animal Services Community Involvement City Codes City Council City Projects
 - Community Crime Reports Customer Service Request Explore Tualatin Now Fire Library Municipal Court Tualatin Today
 - Parks & Recreation Passports Permits & Forms Planning & Zoning Police Volunteer Tualatin Moving Forward
 
 
 - 
					  
 - 
			    ForVisitors
                        
- 
					
- Parks, Greenways, Recreation and Library Library Parks Public Art Parks and Recreation
 - Shopping, Dining, and Entertainment Chamber of Commerce
 - Community Events Community Theatre Pumpkin Regatta Special Events
 
 
 - 
					
 - DoingBusiness
 - 
			    HowDo I?
                        
- 
					  
- Apply for a Job Apply for an Advisory Committee Contact the City Council Get a Copy of a Police Report File a Records Request Find Forms
 - Find Planning & Zoning Find Public Transportation Find the City Code Get a Business License Get Email Subscriptions/Notifications Locate City Offices
 - Contact the City Pay My Traffic Fine Pay My Water Bill Reserve a Facility Sign Up for a Recreation Program Search the Website Volunteer
 
 
 - 
					  
 
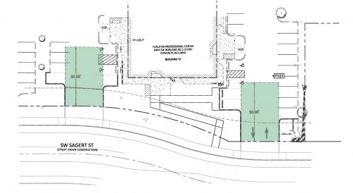
VAR18-0001 Tualatin Professional Center
Project ID: 
VAR18-0001
Applicant Information: 
KPFF Consulting Engineers - 503-542-3860
Reviewing Staff: 
Erin Engman
Project Staff Contact: 
Erin Engman
Project Type: 
Variance (VAR)
Project Status: 
Approved
Date Received: 
Monday, February 26, 2018
Hearing Date: 
Thursday, April 19, 2018
Reviewing Body: 
Location: 
        6464 SW Borland Rd
              
            
          Tualatin, 
	           OR
               97062
        
                                          See map: Google Maps
    Tax Map/Lot: 
2S1E30B9000
To seek a variance to TDC 73.360(6)(a) (Off-Street Parking Lot Landscape Islands) and 73.400(11) (Access) standards in restoring the two southern access drives on SW Sagert street.
